JENSEN BEACH – GOLDENROD

NW Federal Highway & NW Goldenrod Road, Jensen, FL

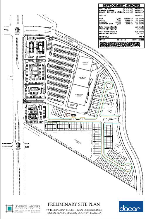
This 50 acre retail project is located at NW Federal Highway and NW Goldenrod Road, just north of Jensen Beach Blvd and only 3 miles west of Jensen Beach.

This property is brokered by Atlantic Retail.

Request Info

Request More Info

Please fill out the form below to learn more about our location.